연결 가능 링크

허리케인 샌디, 쿠바 상륙


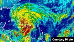
25일 카리브해로 접근한 허리케인 샌디의 위성 사진.
25일 카리브해로 접근한 허리케인 샌디의 위성 사진.
미 국립허리케인센터는 허리케인 샌디가 쿠바 남동부 해안에 상륙했으며, 시간당 풍속 175km의 허리케인 2등급이라고 밝혔습니다.

샌디는 어제(24일) 자메이카에 상륙했을 때는 1등급 허리케인이었으며, 자메이카 당국은 주민들에게 외출 금지령을 내리고 공항과 항만을 폐쇄했습니다.

샌디의 영향으로 자메이카에서는 한 남성이 자택으로 굴러들어온 바위에 깔려 사망했습니다. 또 아이티에서는 집중호우로 범람한 강을 건너던 여성이 익사했습니다.

샌디는 쿠바와 바하마를 지나 미국 플로리다 주에 상륙할 것으로 예상되며, 이후 동부 해안선을 따라 움직이며 강풍과 폭우를 동반할 것으로 보입니다.

대서양에서는 6월 1일에서 11월 30일까지 허리케인이 발생하는데 올해는 특별히 발생 빈도가 잦았습니다. 샌디는 올해 대서양에서 발생한 18번째 폭풍입니다.
XS
SM
MD
LG